Blijf op de hoogte van ons nieuwste aanbod
Schrijf u in
Philippe Decoster
016/899 508
of 0491/505 025
philippe@in2go.be
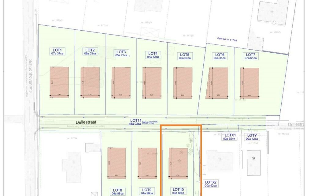
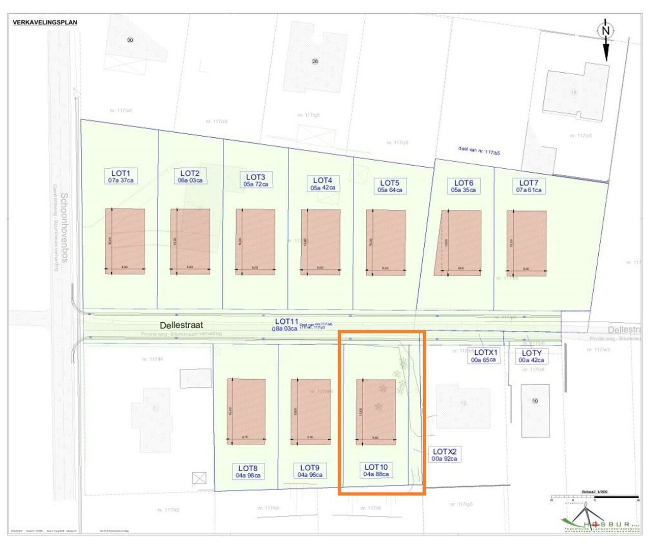
Bouwgrond van 4a88 geschikt voor open bebouwing
Ben je op zoek naar een mooie bouwgrond om jouw droomwoning te realiseren? Deze bouwgrond, gelegen in de Dellestraat 14 in Aarschot, biedt een uitstekende kans om te bouwen in een rustige en aangename woonomgeving.
Het perceel lot 10 heeft een oppervlakte van 4 are 88 centiare (488 m²) en is geschikt voor een open bebouwing, wat je de vrijheid geeft om een vrijstaande woning naar eigen wens te ontwerpen. De grond is gelegen in een residentiële en kindvriendelijke buurt, op korte afstand van het centrum van Aarschot. In de nabije omgeving vind je scholen, winkels, openbaar vervoer en andere voorzieningen. Ook de bereikbaarheid is een grote troef: via de nabijgelegen verbindingswegen ben je snel in steden zoals Leuven of Diest.
Dankzij de rustige ligging en de groene omgeving is dit de ideale plek voor wie houdt van wonen in een natuurlijke en serene omgeving, zonder in te boeten aan comfort of bereikbaarheid. Of je nu zelf wilt bouwen of op zoek bent naar een interessante investering, deze bouwgrond biedt heel wat mogelijkheden.
Prijzen zijn exclusief de kost van opmeting € 1.000 en de kost van verkaveling € 500, beiden excl. BTW.
Contacteer ons voor meer info en/of een bezoek ter plaatse via 016/899 508 of info@in2go.be.
Het perceel lot 10 heeft een oppervlakte van 4 are 88 centiare (488 m²) en is geschikt voor een open bebouwing, wat je de vrijheid geeft om een vrijstaande woning naar eigen wens te ontwerpen. De grond is gelegen in een residentiële en kindvriendelijke buurt, op korte afstand van het centrum van Aarschot. In de nabije omgeving vind je scholen, winkels, openbaar vervoer en andere voorzieningen. Ook de bereikbaarheid is een grote troef: via de nabijgelegen verbindingswegen ben je snel in steden zoals Leuven of Diest.
Dankzij de rustige ligging en de groene omgeving is dit de ideale plek voor wie houdt van wonen in een natuurlijke en serene omgeving, zonder in te boeten aan comfort of bereikbaarheid. Of je nu zelf wilt bouwen of op zoek bent naar een interessante investering, deze bouwgrond biedt heel wat mogelijkheden.
Prijzen zijn exclusief de kost van opmeting € 1.000 en de kost van verkaveling € 500, beiden excl. BTW.
Contacteer ons voor meer info en/of een bezoek ter plaatse via 016/899 508 of info@in2go.be.
Kenmerken
perceel opp.
488,00 m²
Financieel
prijs
€ 160.000
beschikbaarheid
Vanaf akte
Indeling
terras
nee
Documenten
MAP





